Eye on the Tropics
Subscribe
Sign in
Home
Archive
About
Latest
Top
Discussions
The Tumultuous 2025 Hurricane Season Comes to a Close
The first season in a decade without a U.S. hurricane landfall also featured three Category 5 hurricanes, including Melissa, one of the strongest…
Nov 30
•
Michael Lowry
19
4
1
This Hurricane Season, Two Forecast Models Stand Out, but for Very Different Reasons
Google’s newest DeepMind hurricane model was the star of the 2025 hurricane season while America’s flagship weather model stumbled to new lows
Nov 3
•
Michael Lowry
38
11
1
October 2025
Melissa Brushes Bermuda Overnight and Headed Out to Sea
Melissa will transition to a strong wintertime storm today and pass near the southern Avalon Peninsula in Atlantic Canada overnight
Oct 31
•
Michael Lowry
15
3
1
Melissa Racing Away from the Bahamas, Hurricane Warning for Bermuda
Melissa’s center expected to pass west of Bermuda as a Category 2 hurricane by the midnight hour Thursday into Friday
Oct 30
•
Michael Lowry
16
3
2
Melissa Strikes Eastern Cuba after Ravaging Jamaica
Melissa is the strongest hurricane to hit eastern Cuba in 9 years
Oct 29
•
Michael Lowry
16
1
1
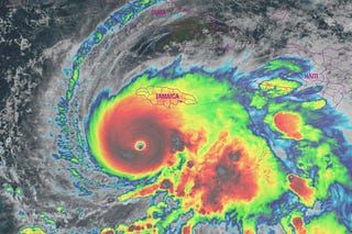
Category 5 Melissa Slams Jamaica at Peak Intensity, Catastrophic Conditions Ongoing
Melissa ties Dorian in 2019 and the 1935 Labor Day hurricane as the strongest landfalling Atlantic basin hurricane on record
Oct 28
•
Michael Lowry
28
3
3
Melissa Takes Aim at Jamaica as a Monster Category 5 Hurricane
Melissa becomes the third Category 5 hurricane of the 2025 hurricane season, expected to strike Jamaica Tuesday morning near peak strength
Oct 27
•
Michael Lowry
21
3
4
Melissa Undergoing Extreme Rapid Intensification, Catastrophic Impacts Expected for Jamaica
Melissa rocketed from a tropical storm Saturday to a Category 4 hurricane before first light Sunday, with additional strengthening expected today
Oct 26
•
Michael Lowry
26
3
2
Melissa to Strengthen and Drift Near or South of Jamaica as a Major Hurricane by Sunday
Days of potentially catastrophic flash flooding and landslides threaten southern Haiti, the Dominican Republic, and eastern Jamaica
Oct 24
•
Michael Lowry
16
4
1
Melissa Forecast to Rapidly Strengthen into a Major Hurricane this Weekend
Melissa threatens to be a two-pronged disaster for the central Caribbean, first as a prolific rainmaker, then as a blockbuster hurricane
Oct 23
•
Michael Lowry
22
2
3
Melissa to Meander, Raising the Risk of Significant Flash Flooding for the North-Central Caribbean
Melissa’s uncertain course could deliver torrential rains to parts of Haiti, the Dominican Republic, and Jamaica this week
Oct 22
•
Michael Lowry
14
5
1
Melissa Comes Together in the Caribbean, Bringing the Threat of Major Flooding this Week
Melissa expected to loiter under light steering this week, raising the risk for prolonged heavy rains and flooding
Oct 21
•
Michael Lowry
16
1
2
This site requires JavaScript to run correctly. Please
turn on JavaScript
or unblock scripts